Welcome to the COMSOL Image Gallery. The simulation images on this page are available for
editors and journalists to use in appropriate articles. The phrase "Image made using COMSOL
Multiphysics® software and provided courtesy of COMSOL." must appear in the vicinity of every image
or at the bottom of the article.
For all other uses you must contact COMSOL directly through www.comsol.com/contact/
or by writing to .
COMSOL Version 6.0
|
|
Airplane Antenna SimulationThe radiation pattern of a Wi-Fi antenna operating at 850 MHz, placed on the fuselage of an airplane. The model is solved with a combination of the finite element method (FEM) and boundary element method (BEM).
|
|
|
Concert HallAn acoustics ray tracing simulation of a concert hall. This type of analysis can be used to predict room acoustics metrics, such as reverberation time, even before the building is constructed.
|
|
|
Electric MotorAn electric motor simulation using COMSOL Multiphysics®, where design engineers can optimize and predict the performance of motor designs prior to building prototypes.
|
|
|
HydrocycloneFluid dynamics simulation of a hydrocyclone characterized by a very strong swirl and anisotropic turbulence. Cyclones are used in a variety of applications, ranging from the mining industry to vacuum cleaners.
|
|
|
Microwave ComponentCOMSOL Multiphysics® version 6.0 and the RF Module provide a library of magnetic materials, which can be included in models of microwave components such as ferrite resonators and circulators.
|
|
|
Model ManagerThe Model Manager in COMSOL Multiphysics provides version control and common storage for efficient collaboration in projects. |
|
|
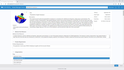
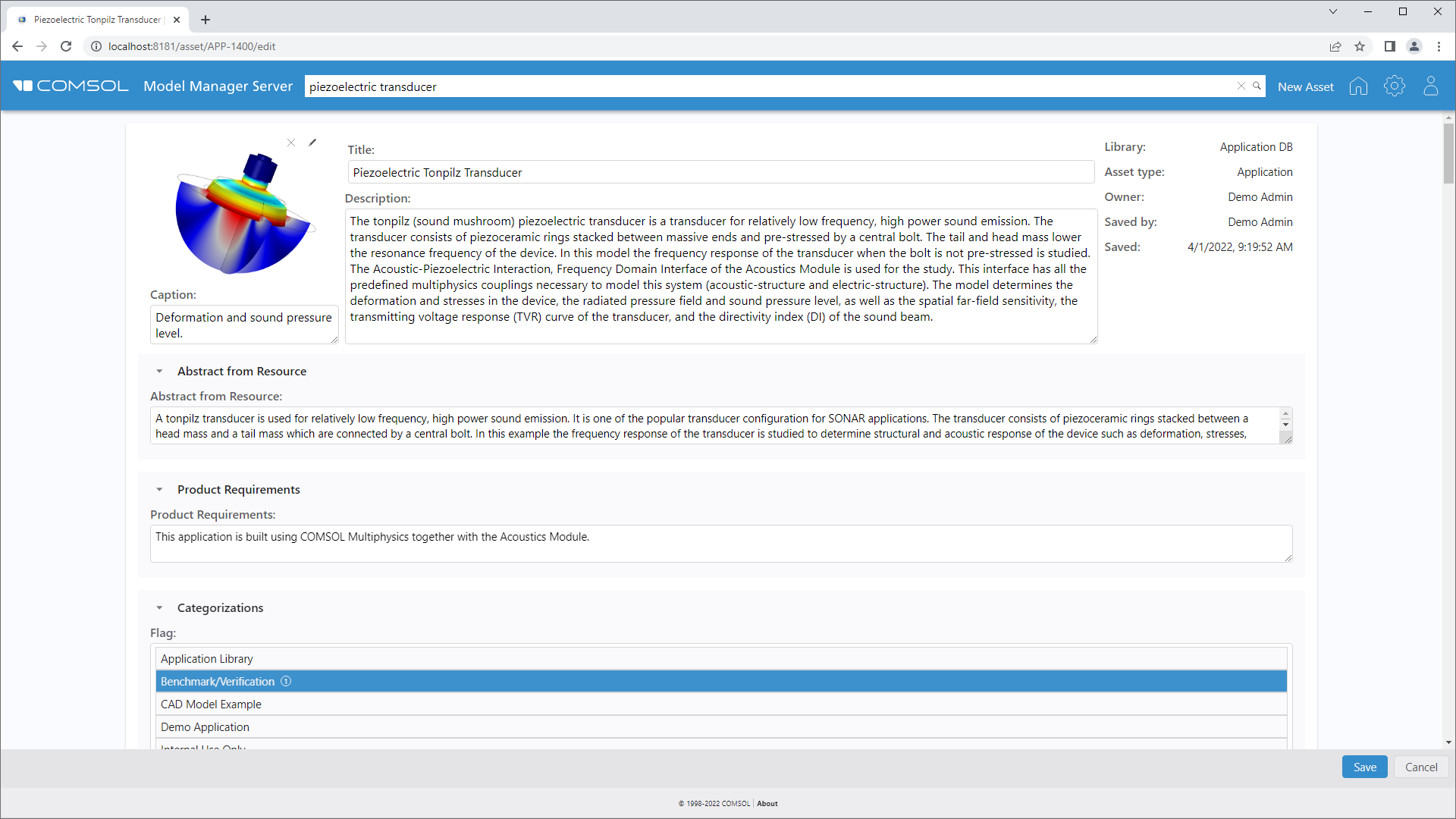
Model Manager Server Asset InformationClicking into an asset allows you to add files and metadata (abstract, thumbnail image, product requirements, etc.) |
|
|
Model Manager Server Asset Management SystemA web interface of the Model Manager server asset management system that shows different assets and metadata (asset type, author, distribution, etc.) |
|
|
Model Manager SettingsA screenshot from the Model Manager UI within the COMSOL Desktop® that shows the different databases that have been set up to administrate and structure models, along with branching, version control, feature lists, and the folder system used to manage the simulation. The model tree of a selected model can be previewed without opening the model. |
|
|
Optic Lens SystemCOMSOL Multiphysics® version 6.0 provides advanced visualization functionality, including realistic transparency of materials like glass, as shown in this ray optics simulation of a system of lenses.
|
|
|
Pasta ExtrusionA multiphysics model of a pasta extrusion process, taking into account the influence of temperature variations on the viscosity of the fluid.
|
|
|
PEM Fuel CellA detailed electrochemical, fluid flow, and heat transfer simulation of a polymer electrolyte membrane (PEM) fuel cell. This type of fuel cell uses hydrogen as fuel and has important applications in vehicle electrification, especially with regards to extending the range of electric vehicles.
|
|
|
Printed Circuit BoardCOMSOL Multiphysics version 6.0 delivers performance improvements and simplifies simulation of many important applications, such as printed circuit board (PCB) designs (pictured). |
|
|
Sports CarSimulation of the wind load on a sports car’s side door and mirror using the fluid–structure interaction capabilities of COMSOL Multiphysics®.
|
|
|
TurbineCOMSOL Multiphysics® version 6.0 includes advanced visualization functionality, such as realistic ambient light.
|
|
|
Uncertainty Quantification ModuleThe Uncertainty Quantification Module reveals how variability of input parameters affects the simulation results.
|
